Норвезькі геофізики виявили на дні Баренцевого моря гігантські кратери і встановили їхнє походження. Кратери були утворені в результаті викидів метану з дна моря, повідомляє EurekAlert!.
Незважаючи на те, що вік кратерів складає близько 12 тисяч років, метан все ще рясно виділяється з кратерів. "Регіон з кратерами був покритий товстим шаром льоду під час останнього льодовикового періоду, так само, як західна Антарктика зараз. По мірі того, як температура повітря почала підвищуватися, крижаний покрив почав руйнуватися, а метанові поклади – вириватися назовні. Це призвело до появи кратерів, з яких досі виходить велика кількість метану", - заявила одна з авторів дослідження Карін Андреассен.
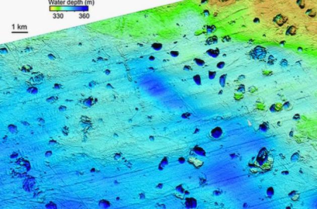
На даний момент вчені виявили в кратерах і навколо них близько 600 викидів метану. Деякі з цих кратерів були виявлені ще в 1990-х роках, але нові дослідження показали, що вони покривають набагато більший регіон дна моря. За словами дослідників, їм вдалося виявити приблизно 100 кратерів діаметром від 300 метрів до одного кілометра, але в цьому регіоні розташовується кілька сотень кратерів діаметром менше 300 метрів.
Це дослідження важливо для оцінки транспорту метану в гідросферу і атмосферу планети, оскільки природне з'єднання являє собою сильний парниковий газ. Аналогічні газові гідрати, але менших розмірів, поширені в Сибіру.
Раніше повідомлялося про те, що вчені склали карту регіонів Землі, які найбільше постраждали від змін клімату. При складанні карти науковці використовували супутникові дані, отримані в період з 2000 по 2013 рік. Карта була створена на основі аналізу температури повітря, доступності води, а також хмарного покриву. Вчені здійснили розрахунки для кожної окремо взятого ділянки суші в 5 квадратних кілометрів. Деякі ділянки Землі, наприклад Антарктика і Сахара, не були класифіковані через свою безплідність.
