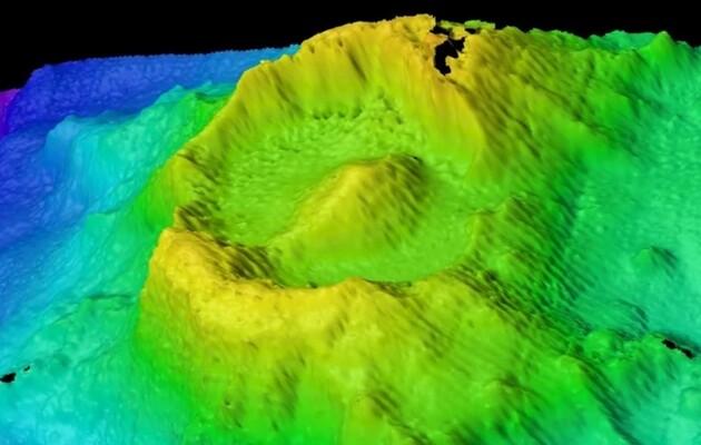
Ученым удалось обнаружить «Око Саурона» из «Властелина колец» и это подводный вулкан, который находится в Индийском океане. Он находится на глубине 3100 метров и на расстоянии 280 километров от Острова Рождества, сообщает Science alert.
«Ранее неизвестный и не сфотографированный, этот вулкан появился на наших экранах в виде гигантской овальной впадины, которая называется кальдерой, высотой 6,2 километра и шириной 4,8 километра. Она окружена ободом высотой 300 метров (который напоминает веки Саурона), а в центре располагается конусообразная вершина (зрачок)», - заявил старший куратор отдела морских беспозвоночных Музея Виктории Тим О’Хара.
Кальдера сформировалась в результате обрушения вулкана. Расплавленная магма у основания вулкана смещается вверх, образуя пустоты. Затем твердая корка на поверхности купола разрушается, образуя большую, похожую на кратер, структуру. Поскольку вулкан продолжает выбрасывать магму, в центре может образоваться небольшой пик.
Ученые отмечают, что об извержениях подводных вулканов люди могут и не узнать. Один из немногих признаков этого может быть небольшое количество пемзы, которая плавает на поверхности моря. Но в конечном итоге эта пемза напитывается водой и опускается на дно океана.
По словам исследователей, найденный «глаз» был не один. Дальнейшее картирование позволило обнаружить гору, усеянную вулканическими конусами. Чуть дальше ученые также нашли еще одну подводную гору с плоской вершиной. Следуя тематике «Властелина колец», ученые назвали их Барад-дур («Темная крепость») и Эред Литуи («Пепельные горы»).
Исследователи отмечают, что три структуры являются частью группы подводных гор Карма, возраст которых превышает 100 миллионов лет. Они образовались рядом с древним морским хребтом в те времена, когда Австралия находилась гораздо южнее, недалеко от Антарктиды.
Подписывайтесь на наш Telegram-канал с новостями технологий и культуры.
Ранее геологи из Монреальского университета заявили о том, что неглубокие резервуары магмы вулканов могут быть опасными. По их словам, именно такие резервуары, которые редко видны при сейсмографической съемки, могут определять активность вулканов.
