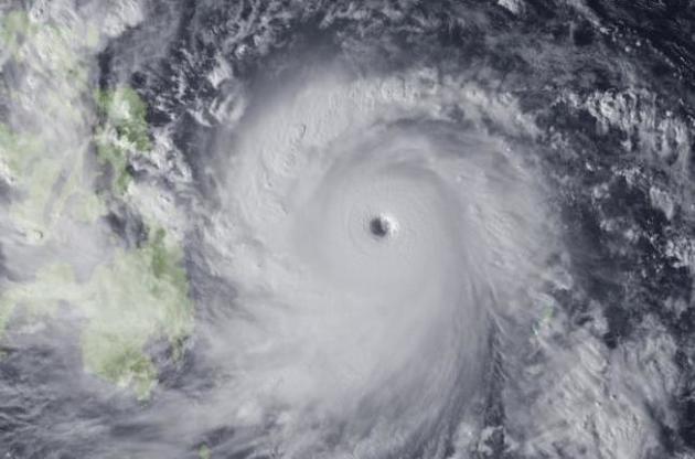
В суботу, 12 октября, на Японию обрушился мощный тайфун "Хагибис". Он сопоставим по силе с тайфуном "Ида", обрушившимся на страну 61 год назад, стихия уже унесла жизни 19 человек, сообщает агентство Kyodo News. Еще 149 получили ранения, пишет NHK. Кроме того, без вести пропали 16 человек.
В спасательной операции участвуют около 27 тысяч человек, людей эвакуируют вертолетами. Чиновники пытаются установить точное число жертв.
Из-за тайфуна реки вышли из берегов, спровоцировав масштабные наводнения и оползни. От "Хагибис" пострадали центр, восток и северо-восток Японии: префектуры Кагава, Тотиги, Гумма, Ивате, Мияги, Фукусима, Тиба и Сайтама.
По данным Министерства земель, инфраструктуры, транспорта и туризма, в 12 префектурах зафиксированы 48 оползней и селевых потоков, девять рек вышли из берегов. В провинции Тиба полностью разрушены 12 и повреждены 70 домов, в Нагано вода затопила скоростные поезда East Japan Railway.
С пятницы с острова Хонсю эвакуировали более 6 млн человек, в Японии было приостановлено железнодорожное сообщение и отменены около 800 внутренних авиарейсов. Утром в воскресенье, 13 октября, аэропорт Токио частично возобновил полеты, также частично восстановлено движение скоростных поездов.
В пострадавших от тайфуна префектурах фиксируются проблемы с мобильной связью, от перебоев с электроснабжением пострадали более 250 тысяч домохозяйств.
По данным береговой охраны, в ночь субботы в Токийском заливе затонуло грузовое судно из Панамы с 12 членами экипажа. Утром 13 октября пятеро членов экипажа были спасены, позже один из спасенных моряков погиб.
Напомним, 7 октября президент США Дональд Трамп объявил чрзвычайное положение для Содружества Северных Марианских островов и приказал правительству США помочь местным властям отреагировать на надвигающийся тайфун "Хагибис".
Ранее в Японии шесть человек погибли и еще около 160 получили ранения разной степени тяжести в результате тайфуна "Дзеби", который обрушился за западное побережье страны. Местные сейсмологи уже сообщили о том, что шторм "Дзеби" стал самым мощным тайфуном в Японии за 25 лет – с 1993 года.
