В Японии в связи с приближением тайфуна "Хагибис" власти проводят дополнительное информирование иностранных туристов, находящихся на территории страны. Об этом в пятницу сообщает РБК-Украина со ссылкой на японское общественное телевидение NHK.
В Японском метеорологическом агентстве прогнозируют, что "Хагибис" будет сопоставим по силе с тайфуном "Ида", обрушившимся на страну 61 год назад и унесшем жизни свыше 1,2 тыс. человек.
В связи с этим в стране открылись дополнительные линии круглосуточных колл-центров на иностранных языках, предоставляющие туристам всю необходимую информацию, связанную с приближающимся тайфуном.
Кроме того, туристов информируют с помощью специальных приложений, также на разных языках, и через социальные сети.
Отмечается, что число иностранных туристов, находящихся в настоящее время в Японии, значительно превышает средний показатель для этого времени года из-за проходящего в стране Кубка мира по регби.
Из-за приближающегося тайфуна "Хагибис" японские авиакомпании приняли решение об отмене порядка 800 внутренних авиарейсов, запланированных на 12 октября, что составляет почти 90% суточных перевозок, также железнодорожный оператор JR принял решение в субботу сократить количество поездов на самой загруженной линии между Токио и Осакой, а во второй половине дня полностью прекратить сообщение на этом маршруте.
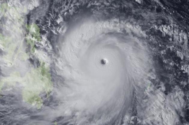
Ранее национальное Метеорологическое управление официально предупредило, что тайфун "Хагибис" 12 и 13 октября пройдет по основной территории Японии и, возможно, нанесет удар непосредственно по столице страны.
В настоящее время тайфун движется к Японии с юго-востока со скоростью 25 км/ч, порывы ветра в его центральной части достигают скорости 50 м/с.
В свою очередь, 7 октября президент США Дональд Трамп объявил чрезвычайное положение для Содружества Северных Марианских островов и приказал правительству США помочь местным властям отреагировать на надвигающийся тайфун "Хагибис".
В Японии по меньшей мере шесть человек погибли и еще около 160 получили ранения различной степени тяжести в результате тайфуна "Дзеби", который обрушился за западное побережье страны. Местные сейсмологи уже сообщили, что шторм "Дзеби" стал самым мощным тайфуном в Японии за 25 лет – с 1993 года. Есть опасения, что ливни могут вызвать оползни и наводнения, сообщил японский телеканал NHK. Не успели оправиться от одного потрясения, как надвигается новое.
