Тропические циклоны стали сильнее с 1970-х годов, как и предсказывали модели. Об этом свидетельствуют данные со спутников на геостационарной орбите, сообщает New Scientist.
Ураганы и тайфуны, как называют тропические циклоны в разных частях света, подпитываются теплой водой на поверхности океана. Чем более теплым становится мир, тем больше "топлива" в нем вырабатывается.
Из-за небольшого количества тропических циклонов, ученым тяжело проследить, существует ли какая-либо статистически значимая тенденция. Более того, по мере улучшения инструментов, с помощью которых ведутся наблюдения, тяжело понять, является ли тенденция новой, или же ее раньше не замечали.
"Нам впервые удалось проследить глобальную тенденцию в существующих данных", - заявил Джеймс Коссин из Национального управления океанографических и атмосферных исследований.
В ходе исследования команда Коссина сначала изучила данные только спутников на геостационарной орбите, которые проводили наблюдения с 1979 годов. Затем исследователи понизили качество более поздних наблюдений, чтобы сделать его сопоставимым с более ранними.
Исследователям удалось проследить четкую тенденцию: вероятность того, что скорость ветра в урагане будет достигать на мене 185 километров в час, увеличилась на 15%. Ученые не изучали причины, которые лежат в основе этой тенденции, но считают, что в данной ситуации можно найти "отпечатки пальцев вмешательства человека".
Другие исследования показывают, что тропические циклоны становятся более опасными и по другим причинам. Они формируются быстрее, а значит, оставляют меньше времени на предупреждение об их приближении. В то же время, они двигаются медленнее, а значит, в одном регионе выпадает чрезмерное количество осадков.
Подписывайтесь на наш Telegram-канал с новостями технологий и культуры.
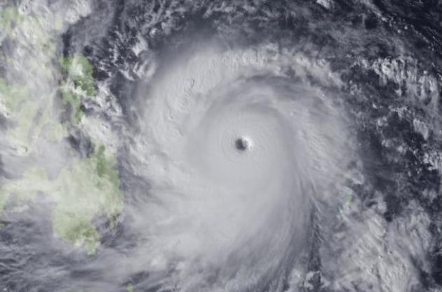
В середине мая на Филиппины обрушился тайфун "Вонгфонг. Мощный ветер и сильные дожди обрушились на остров Самар, когда филиппинцы были вынуждены оставаться дома из-за пандемии коронавируса. Вместе с тем, более 140 тысячам из них пришлось эвакуироваться.
